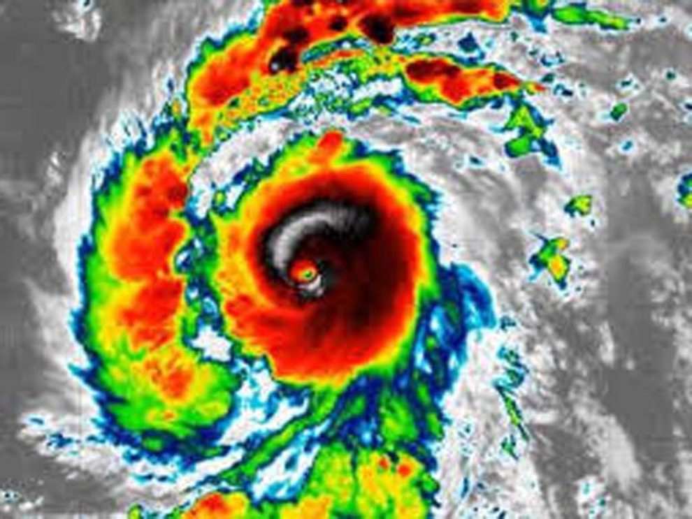
Santo Domingo.-El avión caza huracán en su más reciente investigación encontró nuevamente a Beryl con vientos de 215 kph, Categoría 4, y está ya afectando directamente a las Islas de Barlovento, informó la Oficina Nacional de Meteoroogía (ONAMET).
Beryl se ubicó a las 10:00 AM, cerca de la latitud 12.1 norte y longitud 61.2 oeste, a unos 150 km al sur/sureste de Saint Vincent, y con respecto a la República Dominicana se encuentra a una distancia de 1100 km al sureste de La Isla Saona (Romana), y a unos 1200 km al sureste de Punta Palenque (San Cristóbal).
Los vientos de huracán se extienden a unos 55 km de su centro y los tormentosos a unos 205 km, podrían observarse fluctuaciones del viento en ráfagas superiores a los 215 kph.
Se recomienda hoy lunes, a los operadores de embarcaciones permanezcan en puerto, desde Miches (El Seibo) hasta Isla Beata, dado a la peligrosidad de este sistema tropical, el cual, producirá condiciones marítimas peligrosas.
Los habitantes en zonas costeras deben tomar las precauciones de lugar, y alejarse de las zonas más propensas a rompientes y posibles penetraciones en zonas costeras bajas.
La Oficina Nacional de Meteorología, mantiene el alerta ante posibles condiciones de tormenta tropical desde Punta Palenque hasta Pedernales, en la frontera con Haití, significando que en las próximas 48 horas o menos, uno de los efectos asociados al ciclón tropical, podrían afectar la zona bajo Alerta, como son los vientos fuertes, alto oleaje y rompientes, así como lluvias fuertes o intensas.
Beryl se mueve hacia el oeste/noroeste a unos 31 kph, se prevé un rápido y continúo movimiento hacia el oeste/noroeste durante los próximos días.
La trayectoria pronosticada indica que es probable que Beryl cruce en las próximas horas a través de Las Antillas Menores, esperándose que luego transite por las aguas del Caribe central durante el día de hoy.
De Beryl continuar con su movimiento actual y seguir su trayectoria como predicen los modelos numéricos, el centro de este huracán, se estaría ubicando en la mañana del martes aproximadamente a unos 370 km al sur/sureste de La Isla Saona y a unos 450 km al sur/sureste de Santo Domingo.
La presión mínima central estimada fue de unos 959 milibares.
A partir del martes en la madrugada, el oleaje de manera progresiva se tornará peligroso en toda la zona costera sur, esperándose olas que podrían superar los 15 pies de altura con rompientes frecuentes, esto en el momento que Beryl se aproxime al meridiano de La República Dominicana, no se descartan algunas penetraciones marinas costeras en zonas bajas.
Los acumulados esperados como consecuencia de Beryl, pueden alcanzar en República Dominicana valores entre 50 y 150 mm, a partir de la madrugada del martes de manera gradual, que oscilaran entre 50 y 100 milímetros en El Gran Santo Domingo, Sánchez Ramírez, Espaillat, Puerto Plata, Santiago y Hermanas Mirabal, San Cristóbal, San José de Ocoa, Monseñor Nouel, La Vega, Barahona e Independencia, pudiendo alcanzar hasta los 150 milímetros en puntos aislados.
Nuestro próximo boletín será emitido a la 1:00 p.m









