Todo es cuestión de pensamientos y falta de control emocional", afirma el psicólogo y científico de la salud, Luis Vergés. Para gestionar la ansiedad de forma...
Archivos - 2024
La actuación de Smith en los Premios BET sigue a su aparición sorpresa en el festival de Coachella en abril pasado, mientras interpretaba una versión del tema...
Que "Celebra un capítulo en el viaje musical de un artista"."Las canciones de Taylor Swift, como objetos, cuentan historias, a menudo basadas en el arte, la...
Y un centro artístico especializado en la formación de bailarines árabes profesionales.
Espectacular Harlem Globetrotters (en español, Trotamundos de Harlem) volverán a sorprender al público dominicano con su gira internacional 2024-2025...
El rapero murió el domingo, un día después de ser herido en México "¡Descansa en paz en la carne!…
Mostró sus potentes tiros, excelente defensa y buenas paradas en los momentos de presión del partido."Me siento en muy buenas condiciones.
Febles dijo que algunas organizaciones en República Dominicana trabajan con niños, como Facci, y tendrán una agenda de actividades sociales y desfiles de moda.
El tribunal le otorgó el derecho a "inmunidad absoluta contra el procesamiento penal" por aquellas acciones de carácter oficial que llevó a cabo durante su...
Se trata de Reynner José Eusebio Rosario, señalado como el chófer que impactó una yipeta que conducía Roberto Encarnación y Victoria Reyes, quienes murieron.
Como parte de agenda de trabajo en la nación panameña, el mandatario dominicano también sostuvo reuniones bilaterales con sus homólogos de la República...
El Director Ejecutivo de la Defensa Civil, Juan Salas y presidente de la Comisión Nacional de Emergencias, afirmó que los “héroes naranjas” se preparan para el...
La pediatra infectóloga Margarita Santana explicó que la malaria o paludismo es más propia de Haití. Sin embargo, expresa que por el éxodo constante de...
La familia del presidente estadounidense, Joe Biden, lo animó durante una reunión en Camp David a continuar con su campaña para la reelección, pese a que...
Tras un intenso combate entre la policía y la pandilla Bougòy, los bandidos hicieron correr a los agentes, le arrebataron por segunda vez la comisaría y...
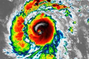
Beryl se ubicó a las 10:00 AM, a unos 150 km al sur/sureste de Saint Vincent, y respecto a RD, a una distancia de 1100 km al sureste de La Isla Saona (Romana)...
Mantiene un monitoreo constante a través de su sistema de videovigilancia que, junto con Drones están a disposición del COE, la Alcaldía del Distrito...
Iniciaron con su tema “Mi tambor”, canción que se identifica por su onda afroantillana y la cual es dedicada a todos los dominicanos que en algún momento han...
Concluida su agenda en Panamá, Abinader y su comitiva regresarán a República Dominicana el lunes.
WASHINGTON DC -- Se espera que este lunes la Corte Suprema emita su tan esperado fallo sobre si el expresidente Donald Trump puede reclamar inmunidad procesal...
Ante la peligrosidad del huracán, dijo el mandatario, “hemos tomado medidas de cautela y prevención, aun cuando el fenómeno atmosférico no está en proyección...
Las nuevas condiciones de Beryl fueron establecidas de acuerdo con el más reciente boletín del Centro Nacional de Huracanes, con sede en Miami, Florida.
Washington - Varias bases militares estadounidenses en Europa han estado en alerta este fin de semana debido a un posible ataque terrorista contra personal o...
Hoffman, uno de los donantes más influyentes del Partido Demócrata, en un correo electrónico a sus amigos.
Diciendo que es muy probable que se produzca un impacto importante y ordena a la gente que tome medidas inmediatas para proteger sus medios de vida y sus...



